



Green Plots near Matri Mandir
Bommayapalayam - Auroville, Pondicherry
Gourav Garden - Gated Community in the heart of Auroville
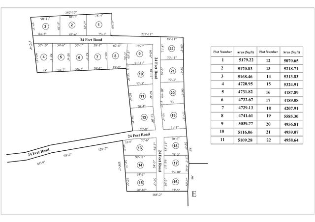
22 farm-based plots situated meters away from the commercial hub of Auroville, Bommayapalayam and nestled into the thick forests of Auroville's green belt, the location is one of the rarest to find and most sought-after residential locations. Take this opportunity to get one for yourself.
Highlights
- Meters away from Matri Mandir.
- Meters away from Auroville’s landmarks Tanto Restaurant & Auro Bakery.
- Nestled in-between the forest bungalows and guest houses of Auroville.
- Fully Gated Community with all Residential Amenities.
The Location
Talking with locals of the area, one can easily understand it's hard to find or create a new residential community so close to Auroville due to their Green Policy and love for nature. It's now possible through Gourav Garden for who needs the touch of International Community at their doorsteps by nestling into its forest ambience.

Note: All areas, measurements and distances given in these particulars are approximate and rounded. The text, photographs and floor plans are for general guidance only.


